Área à Venda, 9.852m²
Rua Cabo FrioJardim Vista Alegre, Campo Limpo Paulista - SP

Informações
- Aceita FinanciamentoSimular Financimento
Medidas
- Área Total: 9.852m² (R$ 355/m²)
- Terreno Área Total: 9.852m²
Descrição
Terreno Industrial à Venda em Campo Limpo Paulista - SP
Localização privilegiada:
Bairro Jardim Vista Alegre, Campo Limpo Paulista - SP.
Ao lado da Rodovia Edgard Máximo Zambotto, com fácil acesso à Rodovia D. Pedro I e outras importantes vias da região.
A apenas 5 minutos do centro de Campo Limpo Paulista, com toda a infraestrutura necessária para o seu negócio.
Região em amplo desenvolvimento industrial e comercial, com grande potencial de crescimento.
Características do terreno:
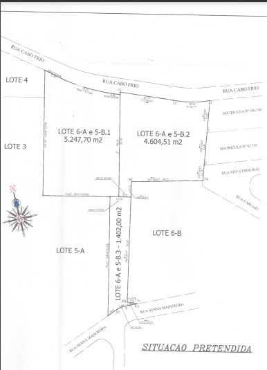
Área total: 9.852,21 m²
Dividido em duas matrículas:
Matrícula 1: 5.247,70 m²
Matrícula 2: 4.604,51 m²
Terreno pronto para construção.
Acesso asfaltado para facilitar a entrada e saída de veículos.
Ideal para a construção de galpão industrial, depósito, ou outro tipo de empreendimento comercial ou industrial.
Investimento com alto retorno:
Oportunidade única para empresas que desejam se instalar em uma região estratégica e com grande potencial de crescimento.
Localização privilegiada garante fácil acesso aos principais mercados consumidores e fornecedores.
Ampla área permite a construção de um empreendimento sob medida para as suas necessidades.
Investimento com potencial para alto retorno financeiro.
Entre em contato agora mesmo e agende uma visita!
O que tem perto?
- Ponto de Oníbus
- Posto de Gasolina
